売地 北葛飾郡杉戸町 清地6丁目 (東武動物公園駅) 住宅用地
| 価格 | 1,450万円 | 最適用途 | 住宅用地 | ||
|---|---|---|---|---|---|
| 交通 | 東武伊勢崎線 / 東武動物公園駅 徒歩20分 | ||||
| 所在地 | 埼玉県北葛飾郡杉戸町清地6丁目 | ||||
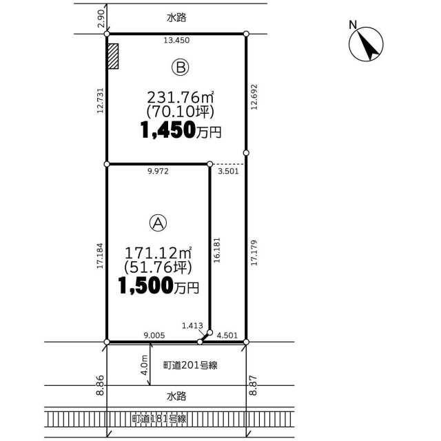
| 土地面積 | 231.76㎡ | 坪数 | 70.10坪 | 坪単価 | 20.69万円 |
| 私道負担面積 | - | 引渡方法 | 現況渡し | 建ぺい率/容積率 | 60%/160% |
- 建築条件なし
- 所有権
- 即引渡し可
- 更地
- 角地
- 上水道
- 下水道
- 都市ガス
- 電気
- 側溝
物件詳細情報
| 交通 | 東武伊勢崎線 / 東武動物公園駅 徒歩20分 | ||
|---|---|---|---|
| その他交通 | - | ||
| 所在地 | 埼玉県北葛飾郡杉戸町清地6丁目 | ||
| 物件種目 | 売地 | ||
| 価格 | 1,450万円 | 坪単価 | 20.69万円 |
|---|---|---|---|
| 借地期間・地代(月額) | -(-) | 権利金 | - |
| 敷金/保証金 | -/- | 維持費等 | - |
| その他一時金 | - | ||
| 設備 | 下水道 | ||
|---|---|---|---|
| 特記事項 | - | ||
| 備考 | B◇ 水道メーター20ミリ設置済:権利金407000円負担 |
||
| 土地面積 | 231.76㎡ | 坪数 | 70.10坪 |
|---|---|---|---|
| 最適用途 | 住宅用地 | 私道負担面積 | - |
| 土地権利 | 所有権 | 都市計画 | 市街化区域 |
| 用途地域 | 1種住居 | 地勢 | - |
| 建ぺい率 | 60% | 容積率 | 160% |
| 接道状況 | 南西4.0m 公道 接面4.5m | 地目 | 雑種地 |
| 国土法届出 | - | セットバック | - |
| 条件等 | - | ||
|---|---|---|---|
| 現況 | 更地 | 引渡し(可能時期/方法) | 相談 / 現況渡し |
| 物件番号 | 3752005001 | 管理番号 | - |
| 情報公開日 | 2025/12/17 | 次回更新予定日 | 2026/01/28 |
※「-」と表示されている項目については、情報提供会社にご確認ください。
情報提供会社
山崎建設(株)
- 交通:
- 東武伊勢崎・大師線/東武動物公園 徒歩20分
- 住所:
- 埼玉県北葛飾郡杉戸町清地2丁目7-15
- TEL:
- 0480-34-3759
- FAX:
- 0480-32-2705
- 所属団体など:
(公社)埼玉県宅地建物取引業協会会員 (公社)首都圏不動産公正取引協議会加盟 - 取引態様:
- 売主
- 免許番号:
- 埼玉県知事免許(14)第6159号
- 間取図は、現況を優先させていただきます。
- 映像は物件の一部を撮影したものです。物件の契約にあたっての最終判断はご自身の判断に基づいて行ってください。
-
仲介手数料について
仲介手数料とは 売主と買主の契約の仲立ちを行う不動産会社に支払う報酬です。
宅地建物取引業法等(法第46条・建設省告示第1552号他)により取引態様ごとに受け取ることのできる報酬の上限額が定められています。
取引態様が「売主」の場合は不要です。
「媒介(一般・専任・専属専任)」「仲介」の場合、売買代金を以下のように区分し、それぞれ定められた割合を乗じて得た金額の合計額が上限となります。
(建物に係る消費税額を除外した額)200万円以下の金額 5.5% 200万円を超え400万円以下の金額 4.4% 400万円を超える金額 3.3%
※参考 簡易計算方式(算出した金額が上限額となります。)200万円を超え400万円以下の場合 4.4%+2.2万円 400万円を超える場合 3.3%+6.6万円
「代理」の場合、一つの取引において、上記仲介の計算方法により算出した金額の2倍以内が上限となります。
※「低廉な空家等」物件については、特例により上記上限額を超える場合があります。
物件によって金額が異なります。
お問い合わせの際は十分ご確認ください。 - 消費税について
当サイトの課税対象となる物件価格およびその他費用等は、税込み表示となっております(100円未満は切上げ)。
詳しくは、当社までお問い合わせください。